50 Acres For Sale in Harcourt, New Brunswick
Located in the community of Harcourt, this nice sized parcel provides a great location for all outdoor recreational activities. Year-round access and within convenient driving distance to the city of Moncton, world class salmon fishing and the Atlantic Ocean. --- Sorry this property is SOLD ---
| Lot Size: | 50 acres |
| Location: | Route 126 Harcourt, New Brunswick, CANADA |
| Reference #: | NB-509 |
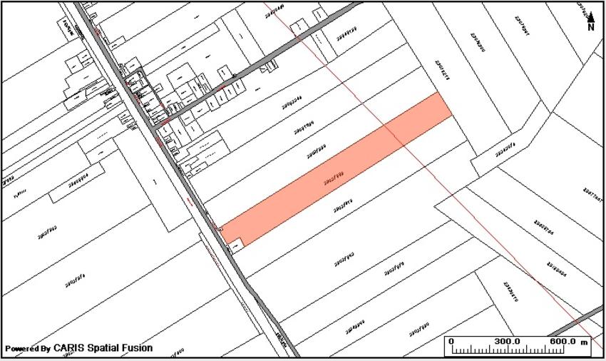
Land situate along Route 126 at Harcourt, in the County of Kent, Province of New Brunswick, CANADA.
AREA: 42.70 acres (17.28 hectares)
- 308 feet road front
- 4,323 feet deep
- 560 feet wide throughout
- Minutes from the community of Harcourt
- Power and telephone at roadside
- 30 minutes from the city of Moncton
- 1 hour from the city of Miramichi and world class salmon fishing on Miramichi River
A nice acreage located in the community Harcourt, where you’ll find nice home sites, a general store, post office, church, K-5 elementary school, gas station and friendly hospitality.
This acreage sits on the east side of Route 126 with 308 feet of road frontage, a width of 560 feet and a depth of 4,323 feet. The parcel is easily accessed throughout the year from Route 126 and the adjoining crown reserve road.
Topography of the land is generally flat, averaging 175 feet above sea level. The parcel was clear-cut within the past few years, but expect a strong re-growth of spruce and fir in the coming years. A parcel of this size can be placed in a forest management plan to maximize re-growth and future marketable stands.
This parcel is within convenient driving distance to the city, world renowned salmon fishing and the Atlantic Ocean... From this parcel, Route 126 south leads to Moncton (30 miles distant), Route 126 north leads to Miramichi and the Miramichi River (43 miles distant). Follow Route 116 (from Harcourt) east via Bass River, Rexton, Richibucto to the Atlantic Ocean (25 miles distant). Just north of Richibucto is Kouchibouguac National Park with miles of sand beaches along the Atlantic Ocean.
Getting here is easy. From Moncton, the province’s second largest city and urban centre (population ~126,000), take exit 450 from Trans Canada Highway (HWY #2) onto Route 126 toward Miramichi. Follow Route 126 north for 30 miles to Harcourt.
WOLTER LAND ESTATES OFFERS:
Guaranteed Financing - low down and low monthly payments
Flexible Purchase Terms
2 Year Property Exchange Privilege
Guaranteed Clear Title
If you have any questions, please ask, we are here to assist!
--- SORRY THIS PROPERTY IS SOLD ---
