11.2 Acres Property on the Black River in New Brunswick
Back to listings
Here is a lovely forested property along the South Black River Road with approximately 650 feet along the beautiful Black River. Located along Route 117 (Acadian Coastal Drive) with power and phone available, you are 15 minutes from the city of Miramichi and Chatham and 15 minutes from Bay du Vin and sandy beaches and warm ocean waters. --- Sorry this property is SOLD ---
| Lot Size: |
11.27 acres |
| Location: |
South Black River Road, Northumberland County, New Brunswick. |
| Reference #: |
NB-2010 |

Looking into the property from roadside (South Black River Road).
Looking towards the property from roadside. The land touches the main road in two places with a total roadfront of 426 +/- feet (refer to plan).
Here is a drone view overlooking your property on the Black River.
Here is a drone view overlooking your property on the Black River.

Picture taken within the property near roadside in behind the open area. pictured in photos 1 and 2.

There is a slope from the upper area of the property (by roadside) down towards the river.

Picture taken on the property closer to the Black River.

Black River on the property.

With the exception of the small open area by roadside (approx. 1/2 acre) the property is wooded throughout.

Another picture on the property within a nice stand of trees. Photo taken near the riverfront.

Black River on the property.

Black River on the property.

Looking south overtop of your property - Lot 20-1 South Black River Road.

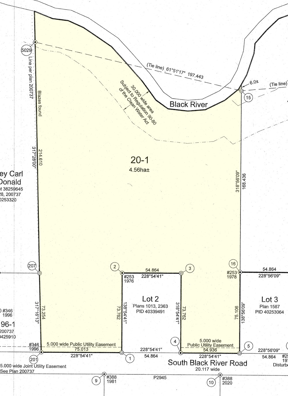
Survey of the property. Measurements are shown in meters.

Map showing the location of the property. Great location just 10 minutes from Miramichi and within 1.5 hours of Moncton.
That parcel located at Black River Bridge in the Parish of Glenelg in the County of Northumberland, New Brunswick.
SIZE: 11.27+/- acres (45,600m2)
- Approximately 650 feet along the meandering Black River.
- An average depth (road to river) of roughly 920 feet.
- Roughly 426 feet of road frontage on the north side of South Black River Road.
- Survey completed.
- Electricity and phone available.
- Nicely forested throughout.
- Large Mature softwoods as you approach the river.
- A wonderful nature setting surrounded by large trees and wildlife – songbirds, grouse, rabbit, deer.
- A great building lot and an excellent investment in Canadian Waterfront Land.
- Just a few minutes from the Bay du Vin community store, wharf and boat launch, and regional school.
- Close to amazing sand beaches in the area at Bay du Vin and Escuminac.
- Fresh local seafood - Herring, Lobster, Mackerel, Scallops and Crab.
- Just 30 minutes from the cities of Chatham and Miramichi.
- About 30 minutes from Kouchibouguac National Park – a fantastic summer and winter destination featuring miles long beaches and sand dunes, nature trails,
- Just over an hour to the City of Moncton with all amenities, shopping centres, universities, health care and the Greater Moncton International Airport.
- Low ownership costs and no obligations.
Here is a lovely property in Northeastern New Brunswick with great road frontage and year-round access, lovely forest and serene riverfront along the Black River. The property is ideally suited for residential living and/or seasonal vacations – close enough to the city and work and likewise to the New Brunswick coastline where you will enjoy sand beaches, warm ocean water, fresh seafood and boating.
Topography of the land is level at roadside and then sloping down to the river. As you approach the river the land is once again level with a final 3 foot +/- bank to the water. By roadside you have a nice stand of spruce and fir and as you approach the river the forest is mature large evergreen trees with the next generation of spruce and fir beginning to grow up as well.
In season we believe there is good fishing in the river for trout. A short drive downstream to Black River Bridge and there is excellent fishing for sea bass. Through the summer months the river continues to flow and is approximately one foot deep. Width of the river is approximately 40 feet +/-.
There is always something to do in the area with many family friendly community festivals and events throughout the summer including ‘Festival Fruit de Mer’ (The Seafood Festival), Escuminac Beach Pig Road, Bay du Vin Summer Survival Days and the Baie Ste. Anne Acadian Day, Miramichi Striper Cup, Rotary Ribfest, Miramichi Folksong Festival to name a few.
Good shopping facilities are in Miramichi and Chatham just 15 minutes away, where you can also find restaurants, motels, schools, entertainment, hospitals and much more.
The vibrant city of Moncton (pop. 120,000), the province’s largest city and urban centre, is 140 kilometers distant, and easily reached via well maintained paved country roads and highways. Greater Moncton International Airport has flights arriving and departing to major centres within Canada and New Jersey, USA.
Getting to your land from the Moncton Airport is easy. Take Highway 15 East approx. 15 minutes towards the coastal town of Shediac. Continuing North on Highway 11 approx. 1 hour past Buctouche, Richibucto. Before reaching Miramichi, turn right on South Black River Road and follow East for just a minute or so to your land on the left. Situated beside civic address 115 South Black River Road.
Sorry this property is SOLD. To see available lots and acreage in New Brunswick, click HERE.

Looking into the property from roadside (South Black River Road).
Looking towards the property from roadside. The land touches the main road in two places with a total roadfront of 426 +/- feet (refer to plan).
Here is a drone view overlooking your property on the Black River.
Here is a drone view overlooking your property on the Black River.

Picture taken within the property near roadside in behind the open area. pictured in photos 1 and 2.

There is a slope from the upper area of the property (by roadside) down towards the river.

Picture taken on the property closer to the Black River.

Black River on the property.

With the exception of the small open area by roadside (approx. 1/2 acre) the property is wooded throughout.

Another picture on the property within a nice stand of trees. Photo taken near the riverfront.

Black River on the property.

Black River on the property.

Looking south overtop of your property - Lot 20-1 South Black River Road.

Survey of the property. Measurements are shown in meters.

Map showing the location of the property. Great location just 10 minutes from Miramichi and within 1.5 hours of Moncton.
Wolter Land Estates
449 Farris Road
Kelowna, British Columbia
V1W 1N1
Telephone: (250) 863-2425
Fax: (250) 764-4377
Email: land@wolterland.com