2.35 Acres, Le Buttereau Road, Saint-Ignace, NB
Here is a lovely 2.35 acre surveyed lot in the community of Saint-Ignace. 209 feet of road front along the maintained and paved Buttereau Road with power, electricity and high-speed internet available. Open field and treed areas. A great spot for vacations and year-round living. --- Sorry this property is SOLD ---
| Lot Size: | 2.35 acres |
| Location: | Lot 2023-6 Buttereau Road, Saint-Ignace, New Brunswick |
| Reference #: | NB-2306 |

Drone view overtop of your land in Saint-Ignace along Le Buttereau Road.
Looking up Le Buttereau Road. Lot 2023-6 is situated on the westerly side of the road with 209 feet road front
Here is an outlined drone view looking in an easterly direction. Lot 2023-6 has a nice mix of open field and forested areas.
Road front along Le Buttereau Road. Electricity, phone and high-speed internet is available.
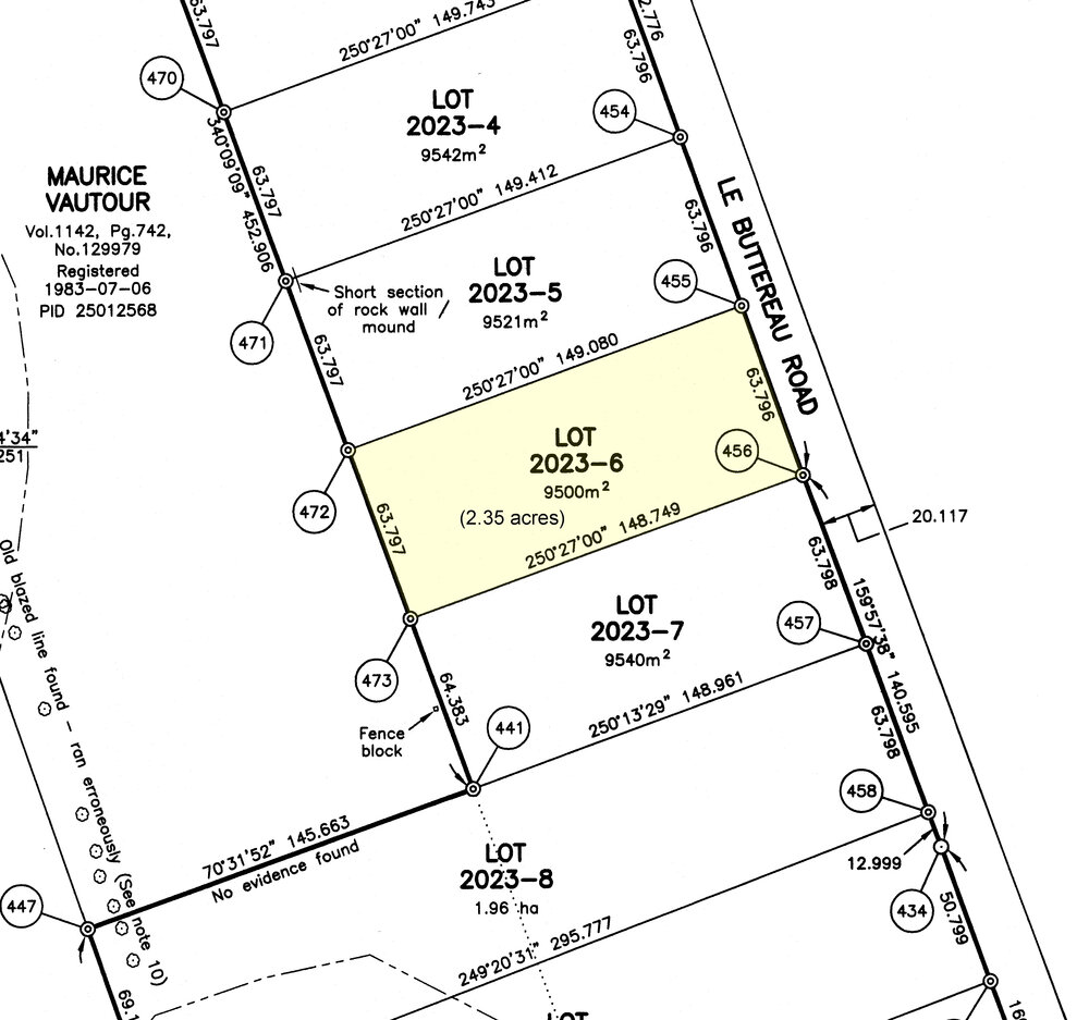
Land located along Buttereau Road, at Saint-Ignace, in the Parish of St. Louis, in the County of Kent and Province of New Brunswick. Being Lot 2023-6 on a registered plan of subdivision.
Lot Size: 2.35 acres or 9,500 square meters
- Year around access is via Buttereau Road - a well-maintained and paved road plowed for snow in winter months.
- Electricity, phone and high speed internet service available.
- 63.8 meters (209 feet) of road frontage.
- a depth of 148.9 meters (488.5 feet).
- Great topography being gently sloping away from Buttereau Road with open and treed areas within the property.
- Low annual property taxes and no requirements to build or improve.
- No restrictive covenants.
- Just a couple minutes to the community of Saint-Ignace.
- a couple of minutes from the Saint-Ignace Golf Club.
- 10 minutes from Kuchibuguac National Park, featuring warm ocean sand beaches, sand dunes and numerous outdoor activities.
- 10 minutes from the community of Saint Louis de Kent with schools, grocery shopping, home improvement stores, and easy access to the water for boating, paddling, and boat slip and moorage.
- Saint-Ignace walking, biking and snowshoe trails along the Saint-Ignace river just minutes away.
- Excellent recreational trail network for ATVing and snowmobiling nearby.
- Excellent outdoor adventure and hunting in the region.
- A convenient distance to the major city centres in the Province of New Brunswick and airports.
Sorry this property is SOLD. To see available lots and acreage in New Brunswick, click HERE.

Drone view overtop of your land in Saint-Ignace along Le Buttereau Road.
Looking up Le Buttereau Road. Lot 2023-6 is situated on the westerly side of the road with 209 feet road front
Here is an outlined drone view looking in an easterly direction. Lot 2023-6 has a nice mix of open field and forested areas.
Road front along Le Buttereau Road. Electricity, phone and high-speed internet is available.
