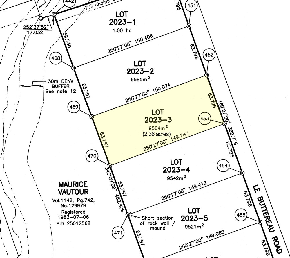
Lot 2023-3 (2.36acres) in Saint-Ignace New Brunswick
Here is a fantastic property in the community of Saint-Ignace with 209 feet of road front along the maintained and paved Le Buttereau Road with electricity and high-speed internet available. Nicely forested throughout. A great spot for vacations and year-round living. --- Sorry this property is SOLD ---
| Lot Size: | 2.36 acres |
| Location: | Saint-Ignace, Kent County, New Brunswick |
| Reference #: | NB-2303 |
Land located along Le Buttereau Road, at Saint-Ignace, in the Parish of St. Louis, in the County of Kent and Province of New Brunswick. Being Lot 2023-3 on a registered plan of subdivision.
Lot Size: 2.36 acres (9,564 square meters)
