5 acres Lot in Southwest New Brunswick
Here is a beautifully forested 5+/- acre lot in southwest New Brunswick. Build your dream home, or country cabin, or simply hold it as a raw land investment. Less than 15 minutes to the town of Saint Stephen and the Canada / USA crossing. --- Sorry this property is SOLD ---
| Lot Size: | 5 acres |
| Location: | Baillie, New Brunswick |
| Reference #: | NB-2051 |

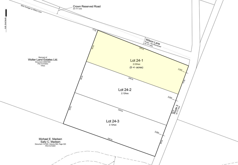
Drone photo outlining Lot 24-1 (5 acres) in Baillie, New Brunswick.
Nice overhead view showing the location of your land at Baillie, New Brunswick. Approximately 77.5 meters along Highway 3 and 249.5 meters along Wilson Lane.
Another drone photo showing the location of this property.
Looking up along Wilson Lane from Highway 3. Lot 24-1 on the left.
Parcel located along Highway 3 and Wilson Lane, in Baillie, in the Parish of Saint James, in the County of Charlotte, in the Province of New Brunswick.
SIZE: 5+/- acres or 2.03+/- hectares
- The property is beautifully forested in softwood Fir, Spruce, Juniper, Cedar, and hardwood Poplar and Birch tree varieties.
- Approximately 77.5 meters (254 feet) frontage along Highway 3.
- Approximately 249.5 meters (818 feet) frontage along Wilson Lane.
- Electricity and Phone service are available along both HWY 3 and Wilson Lane.
- Neighboring forest lands, open fields, pastures, and nearby streams and lakes.
- This is a lightly settled and rural area yet only 15 minutes from town via a good network of maintained roads.
- Plenty of wildlife on the property and area – excellent hunting and outdoor recreation.
- 15 minutes from the Town of St. Stephen
- Convenient driving distance to two major New Brunswick cities (Fredericton, St. John)
This is a large lot with excellent year-round access. Perfectly suited for a home or recreational use. Topography of the land is generally level to very gently sloping from north to south with an elevation of 115 meters (377 feet) above sea level. The land boasts ample road frontage on both Highway 3 and Wilson Lane. The land is forested throughout in large mature poplars maples, and evergreen tree varieties.
For the outdoors person, hunting and fishing and other outdoor activities will keep you very occupied. The Saint Croix River and Grand Lake, which forms part of the Canada - US border between Maine (US) and New Brunswick (Canada) has excellent boating and game fishing for smallmouth bass, salmon, lake trout, perch, pickerel and brook trout. There are also excellent canoe and kayak routes on the St. Croix River and nearby lakes for all levels of paddlers.
History:
The community of Baillie was founded in 1828 and named for Thomas Baillie (1796-1863), Surveyor General of New Brunswick. Baillie Settlement was a farming community with about 40 families: included McGeorge's Corner which in 1866 was a small farming settlement with 17 families. In 1898 Baillie had 1 post office, 2 stores, 2 churches and a population of 300.
The town of St. Stephen is 22 kilometers or 15 minutes south of your land. Situated on the east banks of the Saint Croix River and bordering the USA. You'll find a hospital, health care, schools, churches, post office, banks, home improvement centres, St. Stephen Golf Club and many other businesses and attractions in and around St. Stephen area. Other attractions in the area include Ministers Island, a unique experience where you can access the island by driving across the ocean floor at low tide.
The province’s capital city of Fredericton is about 95 kilometers (1 hour) northeast of this parcel, and the coastal city of St. John is 130 kilometers (1-1/4 hour) east of this parcel. Both cities are easily reached via paved and maintained provincial roads and highways.
Climate Statistics:
Temperature (degrees celsius)
J F M A M J J A S O N D
Average -7 -7 -2 3 9 14 17 17 13 8 2 -4
Precipitation
J F M A M J J A S O N D
Rain (mm) 61 50 61 86 121 105 104 103 111 120 131 104
Snow (cm) 72 57 48 23 2 0 0 0 0 2 15 64
Total (mm) 128 103 110 110 123 105 104 103 111 123 146 168
Snow Cover(cm) 20 26 6 0 0 0 0 0 0 0 2 17
J F M A M J J A S O N D
Sunshine (hours) 115 125 146 159 200 208 217 213 173 142 99 97
Sorry this property is SOLD. To view available lots and acreage, click HERE.

Drone photo outlining Lot 24-1 (5 acres) in Baillie, New Brunswick.
Nice overhead view showing the location of your land at Baillie, New Brunswick. Approximately 77.5 meters along Highway 3 and 249.5 meters along Wilson Lane.
Another drone photo showing the location of this property.
Looking up along Wilson Lane from Highway 3. Lot 24-1 on the left.
